पीएयू में किसान मेला, जानिए क्या है रूट प्लान और किस गेट से मिलेगी एंट्री

पीएयू में किसान मेला, जानिए क्या है रूट प्लान और किस गेट से मिलेगी एंट्री
News Banner Image

Kisaan Helpline

Agriculture Mar 15, 2019

 

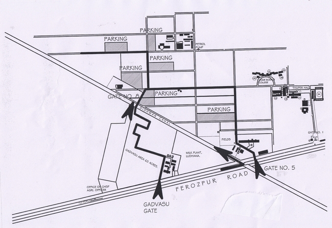
लुधियाना। पंजाब कृषि विश्वविद्यालय (पीएयू) में दो दिवसीय किसान मेला शुक्रवार, 15 मार्च से शुरू हो रहा है। पंजाब, हिमाचल और जम्मू-कश्मीर के लगभग पचास हजार किसानों के इस दो दिवसीय उत्सव में पहुंचने की उम्मीद है। फिरोजपुर रोड और पीएयू कैंपस में ट्रैफिक जाम से निपटने के लिए पीएयू प्रशासन ने ट्रैफिक पुलिस की मदद से रूट प्लान तैयार किया है। पीएयू के एस्टेट अफसर डॉ. वी हांस ने बताया कि जो किसान मेला देखने आते हैं, उनके वाहन पीएयू के किसान मेले में गेट नंबर आठ और पांच में प्रवेश करेंगे। जबकि भारी वाहन केवल 8 नंबर वाले परिसर में ही आएंगे। गेट के अंदर के खेतों को खाली करके 8 नंबर पार्किंग में स्थानांतरित कर दिए गए हैं। इसके अलावा हेलीपैड के पास पार्किंग की भी व्यवस्था की गई है। हालांकि पैदल व दोपहिया वाहन चालक दो, तीन, चार और छह नंबर गेट से कैंपस में आ सकते हैं।

 

आठ नंबर गेट तक जाने वाली सड़क का सुधार

गौर, पीएयू के नए बगीचे से 8 वें गेट तक की सड़क कई महीनों से जर्जर हालत में थी। मेले के मद्देनजर पिछले दो दिनों से इस सड़क का निर्माण किया जा रहा है। ताकि मेले में आने वाले लोगों को परेशानी न हो।

 

किसानों की सुविधा के लिए ई-रिक्शा और रिक्शा चलेंगे

डॉ. हांस ने बताया कि जो किसान आठ और पांच नंबर गेट से कैंपस में प्रवेश करके मेला देखने के आएंगे। किसान आसानी से रैली स्थल से 10.00 से मेला मैदान तक पहुँच सकते हैं।

 

यह पहली बार हो रहा है

यह पहली बार हो रहा है कि किसान मेला के एक दिन पहले मुख्यातिथि को लेकर संशय बना हुआ है। यह तय नहीं किया गया था कि मेले में विशिष्ट अतिथि कौन होगा। हालांकि, पहले चर्चा थी कि मुख्यमंत्री कैप्टन अमरिंद्र सिंह मेले में आ सकते हैं। इसके बाद चीफ प्रिंसिपल सेक्रेटरी टू सीएम सुरेश कुमार के मेले में अतिथि के तौर पर आने की चर्चा हो रही थी। लेकिन अब तक यही सामने आया है कि इन दोनों में से मेले में कोई भी नहीं आएगा।

Smart farming and agriculture app for farmers is an innovative platform that connects farmers and rural communities across the country.

© All Copyright 2024 by Kisaan Helpline